5 nasty bugs in the B.C. Interior you might want to stay on top of

Armed with an exoskeleton, a stinky smell and sometimes even a pair of pinchers, these Okanagan bugs are the talk of the town, according to one pest control expert.
Matthew Wright, manager of Kelowna’s ORKIN Canada, a pest control company, said these bugs are the most commonly talked about, and when the weather warms up, they’ll often see an uptick in calls about certain species.
California prionus (California root borer beetle)
Possibly the largest and grossest looking of the bunch, the root borer beetle is in the middle of its mating cycle right now, and people are often alarmed because of its size (which can reach 1-2 inches in length), Wright said.
“Every year I get a million phone calls about this beetle. It’s not something that we do a lot of sprays for,” he said. “They are quite often around aquatic areas this time of year."
These bugs are a reddish-brown or black in colour, have three sharp spines on each of the pronotum and have a saw-tooth antenna with 12 segments, according to Bug Guide.
“It’s probably the grossest biggest bug around here,” he said.
Elm seed bug (tuxedo bug)
An invasive species, this bug started making its appearance in the Okanagan around four years ago.
“They will cluster in large groups on the hot sides of houses and can be quite a nuisance,” he said.
They’re about 6.5-7 mm long, and are a rusty-green colour, he said.
They’re seen in the hot seasons, as they hibernate when it’s cooler out, and mostly feed on elm trees.

Carpet beetle
These beetles are inside year-round, Wright said, so the company gets calls for them throughout every season.
“Sometimes they’re confused with bed bugs and they feed on any high protein type things like hair, food debris, skin, that type of stuff,” he said. “They’re in every home, they’re just about in every place, you just don’t always see them, but you’ll see them in large numbers sometimes.”
“If you have a lot of antiques that use horse hair, or fur, or different natural fibres for stuffing you can have an infestation in the house,” he said.
In large numbers, these beetles may need to be sprayed.
Most species of carpet beetle measure one to four mm in length and have black, white and yellow patterns, according to the ORKIN website.
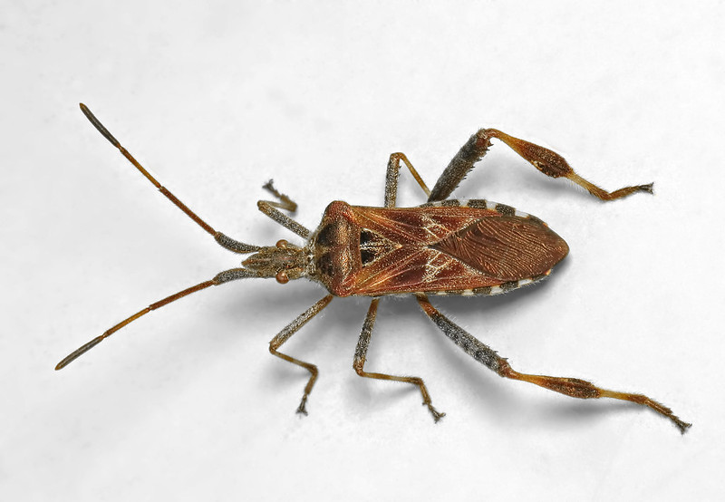
Western conifer seed bug
They may look like a stink bug and may stink when you squish them, but they’re not stink bugs. They feed on pine cone seeds which gives them a smelly odour so birds and predators don’t eat them.
Fecal deposits can stain the siding of buildings, so they can be a nuisance to homeowners, Wright said.
These bugs can be identified by their reddish-brown to greyish-brown and white markings and reach between 15-20 mm in size.

Box elder beetle (maple bug)
Feeding off of maple and white ash trees, they can also feed off of fruit as well. They’re just a nuisance when the months turn warmer or colder, Wright said.
They like to stick under the hot siding of houses and can congregate in large numbers and gross people out. They are typically 11 to 14 mm long, and black, red and orange in colour formation that looks like an x, according to ORKIN.

Out of the bugs listed, the only one that’s really a problem to humans is the carpet beetle, as its larvae can cause skin irritation and allergic reactions, Wright said.
These bugs also don't really bite as they aren't predators.
"There aren't a whole lot of beetles that will bite a human, they aren't really like that," Wright said.
Still, he doesn't recommend playing with the California root borer beetle.
— First published August 2020
To contact a reporter for this story, email Carli Berry or call 250-864-7494 or email the editor. You can also submit photos, videos or news tips to the newsroom and be entered to win a monthly prize draw.
We welcome your comments and opinions on our stories but play nice. We won't censor or delete comments unless they contain off-topic statements or links, unnecessary vulgarity, false facts, spam or obviously fake profiles. If you have any concerns about what you see in comments, email the editor in the link above.
Join the Conversation!
Want to share your thoughts, add context, or connect with others in your community?
You must be logged in to post a comment.